## 🚧 Site Under Complete Redesign 🚧
Please note that our website is currently undergoing a complete redesign. Content and certain features may not be up-to-date or fully complete.

Thank you for your patience.

In the meantime, we encourage you to discover Version 2 of our mobile app, which is fully up-to-date! For any questions, please contact us at:

hello@urbanfake.com
img

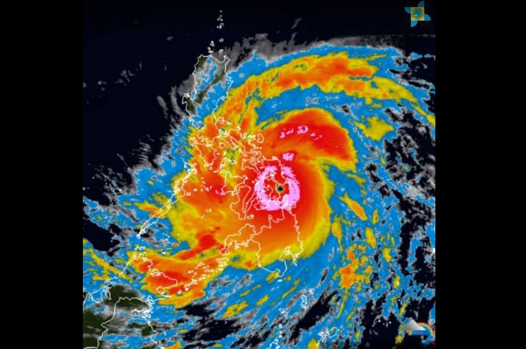
Philippine weather agency refutes false 'super typhoon' warning

Picture
Profile picture for user Chantal
Quote :

The Philippines' weather agency has dismissed a fabricated advisory shared in social media posts that warned a "super typhoon" as strong as Haiyan...

Share on :